
Czasowa organizacja ruchu drogowego
Chciałbym przedstawić Państwu swoją ofertę współpracy w zakresie pomocy w organizacji i przygotowaniu dokumentacji na potrzeby prac wykonywanych w pasie drogowym dróg publicznych. Często zajmuje to inwestorom, projektantom i wykonawcom wiele bezcennego dzisiaj czasu. Swoją ofertę składam przede wszystkim w zakresie przygotowywania projektów czasowych zmian w organizacji ruchu drogowego oraz zabezpieczenia robót, jak również wprowadzania docelowego oznakowania, poprawy istniejącego lub wprowadzania elementów bezpieczeństwa ruchu drogowego.
Oferuję wykonanie projektów organizacji ruchu drogowego oraz zabezpieczenia robót na czas:
- budowy zjazdów z dróg publicznych; zatok; parkingów;
- budowy przyłączy oraz sieci wodociągowych; kanalizacyjnych; gazociągowych; energetycznych; telekomunikacyjnych i teletechnicznych itp.;
- remontów cząstkowych dróg asfaltem lanym – slurry seal, wycinki drzew itp.;
- remontów elewacji budynków, dachów i montaży wszelkich urządzeń na budynkach wymagających wejścia w pas drogowy np. zajęcia chodnika pod rusztowania, reklamy, rozbiórki budynków itp.;
a także oznakowania imprez, happeningów, marszy, wieców itp. (wykorzystania dróg w sposób szczególny) odbywających się w pasie drogowym.
Oferuję wykonanie projektów w jak najkrótszym terminie i za jak najniższą cenę na rynku (zawsze do negocjacji). Ponadto oznakowanie projektowane jest z wykorzystaniem profesjonalnego, licencjonowanego oprogramowania GstarCAD2023 i dodatku GA Znaki2022.
Przykładowe projekty czasowej organizacji ruchu
★
Projekt organizacji ruchu oraz zabezpieczenia robót na czas remontu chodnika w ciągu drogi powiatowej nr 2709G na odcinku od dz. Nr 503 do dz. Nr 515 w miejscowości Bobowo łącznie z wymaganymi opiniami i zatwierdzeniem projektu.
★
Projekt zmiany organizacji ruchu na czas rozbiórki budynków po Z.F. Polpharma S.A. przy drogach gminnych: ul. Jana Pawła II i ul. Kościuszki w Starogardzie Gd. łącznie z wymaganymi opiniami i zatwierdzeniem projektu.
★
Projekt organizacji ruchu oraz zabezpieczenie robót na czas remontu komory ciepłowniczej nr 2281 (na dz. nr 555/1 i 579) w pasie drogowym ul. Ludwika Beethovena (dz. nr 555/1) obręb 064 w Gdańsku
★
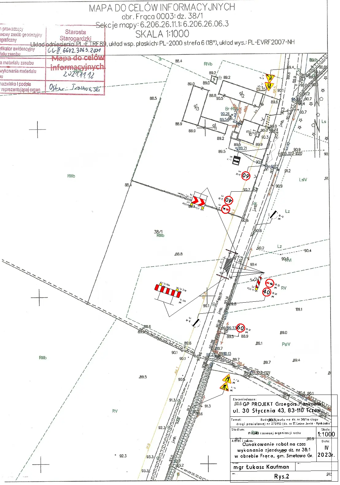
Zjazd - organizacja czasowa - Frąca - gmina Smętowo Graniczne
★
Zjazd - organizacja czasowa - Lipinki Szlacheckie - gmina Starogard Gdański
★
Zjazdy - organizacja czasowa - Pelplin
★
Linia SN dla farmy wiatrowej w Bobowie oznakowanie czasowe DW222 Starogard Gdański
★
Przyłącze kanalizacji sanitarnej - organizacja czasowa DW222 Starogard Gdański
★
przyłącze wodociągowe - organizacja czasowa - Lubichowo
★
Zjazd - organizacja czasowa - Dwór Mysinek - Grabowiec - gmina Bobowo
★











